Die Fossilfundstelle Korbacher Spalte bei Korbach

Koordinaten: TK 4719 Korbach, R: 34 91 760, H: 56 80 800
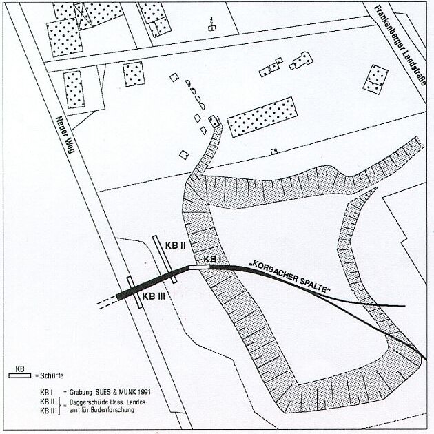
Lage: Kalksteinbruch "Fisseler", an der Frankenberger Landstraße, am südlichen Ortsausgang von Korbach (Landkreis Waldeck-Frankenberg)
Alter: Perm, Zechstein (ca. 256 Mio. Jahre)
Anfahrt: Von Frankenberg auf der B252 nach Korbach, kurz vor dem Ortsschild Korbach auf der linken (westlichen) Seite liegt die Zufahrt zum ehemaligen Kalksteinbruch Fisseler. Die Zufahrt ist mit einem kleinen Hinweisschild "Korbacher Spalte" ausgestattet.
Die Korbacher Spalte ist neben der Grube Messel das bedeutendste paläontologische Bodendenkmal in Hessen und wurde 1992 in das Denkmalbuch aufgenommen.
Die Korbacher Spalte ist eine Erdspalte, die innerhalb der Karbonatgesteine des Zechsteins (Werra-Folge) im Kalksteinbruch "Fisseler" am südlichen Ortsausgang von Korbach aufgeschlossen ist (Kulick 1997, Kulick & Paul 1987). Die Spaltenfüllung birgt zahlreiche Knochenfragmente permzeitlicher Tetrapoden und ist somit die zweitälteste fossilführende Spalte der Welt. Besondere Bedeutung für die Wissenschaftler haben die Funde von Knochenresten, die von säugetierähnlichen Reptilien, den Synapsiden, stammen. Zu dieser Unterklasse der Reptilien gehört auch die Familie der Procynosuchidae, von denen besonders häufig Knochenreste geborgen werden konnten. Die Synapsiden stehen am Anfang der Evolutionsgeschichte der Säugetiere.
Bei Geländearbeiten zur Geologischen Karte von Hessen, Blatt 4719 Korbach, entdeckte Dr. Jens Kulick 1964 die damals noch schlecht erschlossene Spaltenfüllung im Zechsteinkalk, aus der bis heute reiche Knochenfunde geborgen werden konnten. Kulick (1997) konnte den Verlauf der Spalte über eine Länge von etwa 1 km von Südsüdost nach Nordnordwest nachweisen.

Verlauf der Spalte
An der nordwestlichen Wand des Steinbruchs befindet sich die Spalte, die heute bis zu einer Tiefe von etwa 12 m, von der oberen Steinbruchskante aus gemessen, aufgeschlossen ist. Der tiefere Teil der Spalte ist nur etwa 30-50 cm breit, während der obere Teil eine Breite von etwa 3 m erreicht. Die Spalte befindet sich im Randkalk der Werra-Folge des Zechstein-1-Zyklus (Oberperm) und ist vorwiegend mit gelbem dolomitischem Schluffstein (Schluffstein ist ein Sedimentgestein, das in seiner Korngröße zwischen Tonstein und Feinsandstein liegt) gefüllt, in dem Knochenfragmente ungeregelt eingelagert sind.
Der dolomitische Schluffstein ist von violetten bis roten Tonsteinen durchzogen, die z.T. in Schlieren von den Rändern der Spalte ausgehend zur Spaltenmitte hin auskeilen bzw. an kleinen, jungen Störungen unterbrochen sind.
Im oberen Teil der Spalte (obere 5 m) sind die Spaltenränder stark verkarstet , d.h. durch natürliche chemische Auflösungs- und Zersetzungsprozesse des Wassers am Gestein (meist Kalk, Dolomit, Gips, Steinsalz) sind Hohlräume entstanden. Diese Hohlräume treten randlich zwischen Spaltenwand und Spaltenfüllung auf und sind mit rotem bis braunrotem Tonstein ausgefüllt. Sie belegen, dass die Korbacher Spalte einen Bereich erhöhter Wasserwegsamkeit darstellt. Anhand von Isotopenuntersuchungen an Karbonaten der Spaltenwand und der Spaltenfüllung konnten Becker & Zeeh (1999), Zeeh et al. (2000) nachweisen, dass meteorische Wässer zur Verkarstung der Spaltenwände geführt haben. Der Verkarstungsprozess hat demnach schon kurz nach der Lithifizierung der Karbonate im Oberperm begonnen und ist in einer jüngeren Verkarstungsphase während des Pleistozäns überprägt worden. In die so entstandenen Hohlräume entlang der Spaltenwände sind dann rote Tone eingespült worden. Sie haben vermutlich erdneuzeitliches (pleistozänes) Alter und sind damit um etwa 255 Mio. Jahre jünger als die Spaltenfüllung .
In Analogie zu anderen Spaltenfüllungen im Zechstein bei Korbach, die Knochen von pleistozänen Säugetieren enthalten, wurde das Alter der Spalte nach ihrer Entdeckung zunächst auf Mittel- oder Altpleistozän (Pleistozän ist das Zeitalter der Eiszeiten von etwa 2 Mio. Jahren bis vor 10000 Jahren) geschätzt (Kulick 1997). Diese Annahme sollte sich Jahre später als nicht richtig erweisen: Zwar sind die Spaltenränder im obersten Teil der Spalte mit Tonsteinen des Pleistozäns ausgekleidet, die fossilreiche Spaltenfüllung erwies sich jedoch nach einer genauen Untersuchung des Knochenmaterials durch Spezialisten als sehr viel älter.

Gelber dolomitischer Schluffstein und Knochenfragmente
Bedeutung
Die herausragende Bedeutung der Korbacher Spalte und ihrer Fossilreste für die Wissenschaft ist erst in den letzten Jahren erkannt worden. 1988 konnten Sues & Boy (1988) neben einer reichen Wirbeltier-Faunengemeinschaft auch einen gut erhaltenen linken Kiefer des Cynodontiers ("hundezahnähnlicher") Procynosuchus, eines säugetierähnlichen Reptils, bestimmen.

Linker Kiefer eines Cynodontiers

Modell des Cynodontiers ("hundezahnähnlicher") Procynosuchus
Durch die Knochenfunde war eine erste gesicherte Annäherung an das wirkliche Alter der Korbacher Spaltenfüllung möglich, denn die terrestrischen Tetrapoden (Wirbeltiere mit vier Extremitäten), deren Knochen aus der Spalte geborgen wurden, sind nur aus Sedimenten des Oberperms, also einer Zeit vor 258-251 Mio. Jahren (Menning 1995), bekannt. Ähnliche Fossilfunde sind z.B. aus dem Kupferschiefer in Hessen oder aus der Cutties Hillrock Sandstein Formation von Schottland geborgen worden und Fährten von Tetrapoden aus dieser erdgeschichtlichen Zeitspanne sind aus dem Cornberger Sandstein Hessens, dem Val Gardena Sandstein (Tirol) und vom Dumfries-Sandstein und Hopeman-Sandstein (Schottland) bekannt (Sues & Munk 1996).

Oberschenkelnochen eines Archäosaurier-ähnlichen Reptils
Die Knochenfunde der Korbacher Spalte lassen auf eine Fauna schließen, die sich vorwiegend aus Therapsida ( Cynodontia = "hundezahnähnliche" und Dicynodontia = "zweihundezahnähnliche"), also säugetierähnlichen Reptilien zusammensetzt (Sues & Munk 1996, Munk & Sues 1993).
Die Wirbeltier-Faunengemeinschaft mit dem Cynodontier Procynosuchus macht die Korbacher Spalte zu einem der wenigen weltweiten Fundorte mit Knochenmaterial von säugetierähnlichen Reptilien der Permzeit. Vergleichbare Faunen waren bisher nur aus dem Oberperm von Russland, Schottland sowie aus Süd- und Ostafrika bekannt.

Cynodontier Procynosuchus (Rekonstruktion des Procynosuchus nach Hammond & Frey 1997)
Die Familie der Procynosuchidae gehört zur Ordnung der Therapsida, die wiederum zur Unterklasse der Synapsida gehören, und bildet in der Stammesgeschichte eine (phylogenetische) Brücke zwischen Reptilien des Perms (290-251 Mio. Jahre) und den in der Trias (251-208 Mio. Jahre) erstmals auftretenden Säugetieren (Sues & Munk 1996). Nach Funden in Süd- und Ostafrika konnte zwar fast das vollständige Skelett des säugetierähnlichen Reptils rekonstruiert werden, aber auf Grund der deutlichen Deformation der Knochenreste dieser Fundstellen konnte die genaue Körperhaltung des Tieres nicht genau rekonstruiert werden. Die Knochenreste von Korbach dagegen sind wenig bis nicht deformiert und lieferten daher gute Hinweise zur Rekonstruktion und Herstellung eines Modells von Procynosuchus. Ebenso liefert die Fossilfundstelle Korbacher Spalte sehr viel genauere Hinweise auf das genaue Alter der Knochenreste. Während nämlich die Fundschichten der terrestrischen Sedimente, in denen Leitfossilien zur Altersbestimmung häufig fehlen, nur ungenügend datierbar sind, liegen die Knochenfragmente bei Korbach zwischen Kalksteinen, die im Meer entstanden sind und deren Alter mit Hilfe von marinen Fossilien sehr detailliert erfasst werden kann. Die Spalte muss sich nach der Ablagerung und Verfestigung dieser Kalksteine des Zechsteinkalkes und vor der Ablagerung des darüber liegenden, ebenfalls zechsteinzeitlichen Tones gebildet haben (Bökenschmidt et al. 1999) und hat demnach ein Alter zwischen 256 und 258 Mio. Jahren nach der Zeitskala von Menning (1995). Inzwischen hat sich herausgestellt, dass es im Korbacher Raum nicht nur die Korbacher Spalte, sondern weitere knochenführende Spaltensysteme in den Karbonaten des Zechsteinkalkes gibt (Bökenschmidt et al. 1999).
Die Fossilfunde von säugetierähnlichen Reptilien der Gattung Procynosuchus in Korbach, Zentraleuropa und Süd- und Ostafrika legen die Vermutung nahe, dass damit eine Landverbindung zwischen den Kontinenten vorhanden war. Dies ist ein weiterer Hinweis darauf, dass sich zum Zeitpunkt des Oberperms alle heutigen Kontinente zum Superkontinent Pangäa zusammengeschlossen hatten (Sues & Munk 1996).

Ausgrabungen in der Spalte
Systematische Ausgrabungen unter der Leitung von Frey und Munk (beide Naturkundemuseum Karlsruhe) und Sues (Department of Vertebrate Palaeontology, Royal Ontario Museum, Toronto, Kanada) begannen 1991 und sind bis 2000 fortgeführt worden. Sie konnten über 2 500 Fundstücke bergen, von denen noch längst nicht alle präpariert wurden. Eine Dokumentation der Grabungen ist in Vorbereitung (Sues et al. in Vorb.).
Das Gelände der Korbacher Spalte ist heute Eigentum der Stadt Korbach. Die Spaltenwände konnten 1998/1999 mit finanzieller Hilfe der Stadt, des Kreises, des Landes und privater Spender gesichert und ein aufwändiges Schutzdach errichtet werden. Seit 2000 ist unter dem Dach eine Besucherplattform gebaut worden. Der Zufahrtsweg in den Steinbruchsteil mit der Korbacher Spalte wurde mit einer Gingkobaum-Allee beflanzt. In den Sommermonaten (Mai bis Oktober) werden jeden Sonntag um 11:15 Uhr Führungen angeboten. Das Museum Korbach hat in zwei großen Räumen das Thema Korbacher Spalte aufgearbeitet. Der Besucher erhält in sehr anschaulicher und verständlicher Weise einen Einblick in die Zeit des Oberperms und wird über den Wissenstand der laufenden Forschungen zur Korbacher Spalte informiert.
Weitere Informationen erteilen:
Staatliches Museum für Naturkunde Karlsruhe (SMNK)
Geowissenschaftliche Abteilung / Dr. E. Frey und W. Munk
Erbprinzenstraße 13, 76133 Karlsruhe
Tel.: 0721 1752118
Kreisstadt Korbach
Museum Korbach / Dr. Völker-Jansen
Stechbahn 1, 34497 Korbach
Tel: 05631 53289
Öffnungszeiten des Museums:
Di-So und an Feiertagen: 12:00 - 16:30 Uhr
Hessisches Landesamt für Naturschutz, Umwelt und Geologie
Abteilung Geologie und Boden / Dr. H. Heggemann
Rheingaustr. 186, 65203 Wiesbaden
Tel: 0611 6939 933
Informationen zu Führungen an die Korbacher Spalte:
Nationaler Geopark GrenzWelten
Bökenschmidt, S., Braun, A., Heggemann, H. & Zankl, H. (1999): Oberpermische Spaltensedimente bei Dorfitter südlich von Korbach und ihre Beziehungen zur Fossillagerstätte Korbacher Spalte.- Geol. Jb. Hessen, 127:19-32; Wiesbaden.
Frey, E. (1997): Expedition in die oberpermische Salzwüste. - Waldeckischer Landeskalender 1998, 271. Jahrgang, 65-68, Wilhelm Bing, Korbach; Bad Wildungen.
Frey, E., Sues, H.-D. & Munk, W. (1997): Gliding Mechanism in the Late Permian Reptile Coelurosauravus.- Science, 275:1450-1452; Washington.
Hammond, R. & Frey, E. (1997): Reconstructing Procynosuchus delahayi.- www.personal.u-net.com/~paleomod/p97/procytex.htm
Kulick, J. (1997): Erläuterungen zur Geologischen Karte von Hessen 1:25 000, Blatt 4719 Korbach.- 2. Aufl., 272 S.; Wiesbaden.
Kulick, J. & Paul, J. (Hrsg.) (1987): Internationales Symposium Zechstein. Exkursionsführer (Teil I und II).- Internationales Symposium Zechstein, Subkommission Perm/Trias der Deutschen Stratigraphischen Kommission, 173 S. (I) und 309 S. (II), Hess. L.-Amt Bodenforsch.; Wiesbaden.
Menning, M. (1995): A Numerical Time Scale for the Permian and Triassic Periods. An Integrated Time Analysis.- In: Scholle, P., Peryt, T.M. & Ulmer-Scholle, D.S., Permian of the Northern Continents, 1:77-97, Springer-Verlag; Berlin Heidelberg.
Munk, W. & Sues, H.-D. (1993): Gut contents of Parasaurus (Paraiasauria) and Protorosaurus (Archosauromorpha) from the Kupferschiefer (Upper Permian) of Hessen, Germany.- Paläont. Z., 67 (1/2): 169-176; Stuttgart.
Sues, H.D. & Boy, J.A. (1988): A procynosuchid cynodont from central Europe.- Nature, 331:523-524; London.
Sues, H.D. & Munk, W. (1996): A remarkable assemblage of terrestrial tetrapods from the Zechstein (Upper Permian:Tatarian) near Korbach Northwestern Hesse).- Paläont. Z., 70:213-223; Stuttgart.
Sues, H.-D., Munk, W. & Frey, E.: Die „Korbacher Spalte“, eine bemerkenswerte Tetrapoden-Fundstelle im unteren Zechstein (Oberperm) bei Korbach (NW-Hessen).- ( in Vorbereitung).
Sues, H.-D., Munk, W. & Frey, E.: Die „Korbacher Spalte“ (Eine einzigartige Fundstelle fossiler Landwirbeltiere des Oberperms im Landkreis Waldeck-Frankenberg).- (in Vorbereitung).
Zeeh, S., Becker, F., Heggemann, H. (2000): Dedolomitization by meteoric fluids: The Korbach fissure of the Hessian Zechstein Basin (Germany).- Journal of Geochemical Exploration, 69-70:173-176; Amsterdam.


